Малина Патриция сочетает в себе ряд преимуществ, которые выгодно отличают её от других сортов. Описание культуры впечатляет — она обладает высокой морозоустойчивостью и может произрастать в регионах, где температура опускается до -30 °С. Также она ценится садоводами за сладкие и крупные плоды, которые даже на фото вызывают аппетит и воспоминания о лете.
Описание сорта Патриция
Малина Патриция — это проверенный временем, хорошо зарекомендовавший себя и получивший высокую оценку среди садоводов сорт. Он был получен в результате гибридизации Маросейки с донором М102 в 1992 году.
Характерные особенности следующие:
- Куст отличается раскидистостью, достигает высоты 1,8–2 м. Стебли прямые, имеют незначительный восковой налёт, шипы отсутствуют. Ежегодно каждое растение формирует 6–10 побегов замещения, а также примерно 7 корневых отпрысков.
- Листья крупные с зубчатыми краями, слегка морщинистые, окрашены в насыщенный зелёный цвет.
- Ягоды продолговатой конической формы, но некоторые плоды могут деформироваться. Они имеют бархатистую поверхность и ярко-красный цвет. Размер ягод крупный — 4–12 г, костянки также большие.
- Вкус малины сладкий со слабовыраженной кислотой, ощущается характерный аромат.
От других сортов Патрицию отличает хорошая морозоустойчивость. Эта малина способна выдерживать температуру до -30 °С, в то время как для других сортов опасным является показатель в -15 °С.
Также Патриция характеризуется длительным плодоношением, которое продолжается с первой декады июня до середины августа. Наиболее высокая продуктивность у этого сорта наблюдается на третий год после высадки. Однако в течение первых двух лет показатели урожайности низкие.
Ключевые достоинства и недостатки
У Патриции достаточно много преимуществ, благодаря которым она пришлась по вкусу садоводам многих регионов. Но есть и свои недостатки, о которых следует узнать до момента покупки саженцев. Рассмотрим все аспекты подробнее.
Таблица: положительные и отрицательные качества малины
| Преимущества | Недостатки |
| Высокая продуктивность (до 11 кг с куста) | Склонность ягод к деформации |
| Морозоустойчивость | Низкая транспортабельность |
| Хороший вкус и крупный размер ягод | Большое количество поросли |
| Небольшое количество семян, что позволяет использовать ягоды для декорирования кондитерских изделий | Предрасположенность ягод к гнили при высокой влажности |
| Устойчивость к малинной тле и обгоранию листьев | Необходимость подвязывать побеги, которые нередко ломаются вод весом плодов |
| При созревании ягоды не осыпаются в течение нескольких недель | Крупные косточки |
| Отсутствие шипов на стеблях |
Особенности посадки
Высаживать малину можно дважды в год: весной, до формирования почек, и осенью (начиная с сентября и до второй декады ноября). Второй вариант считается более благоприятным. Осенняя посадка даёт возможность растению окрепнуть к новому сезону.
Чтобы малина выросла здоровой и давала крупный обильный урожай, необходимо учесть ряд требований к месту высадки:
- Растение нужно размещать на участке с хорошим доступом солнечного света.
- Для малины выбирают супесчаную, суглинистую или чернозёмную почву.
- Показатель кислотности должен быть нейтральным (pH 6–7).
- Не стоит использовать участок, где грунтовые воды поднимают выше 1,5 м от поверхности.
- Малину не рекомендуется выращивать вблизи картофеля, клубники и помидор, поскольку эти культуры предрасположены к одинаковым недугам и вредителям. Можно выбирать место, на котором прежде произрастала смородина, арония либо крыжовник.
Важно! Не стоит проводить посадку в песчаные почвы, поскольку влага в них не задерживается, а также в глинистые (в них вода застаивается).
При выборе саженца нужно обратить внимание на количество почек возле основания побега — их должно быть не менее трёх. Чтобы малина хорошо прижилась, она должна иметь мощную корневую систему, состоящую из большого количества корешков. Длина саженца особого значения не имеет, поскольку после посадки его нужно будет обрезать. А толщина стебля должна быть 1 см и более. Листья у растения перед посадкой следует удалить, так как это ускорит отрастания побегов.
Процесс посадки производится в таком порядке:
- Почву готовят заранее: за 1–1,5 месяца при осенней посадке либо осенью, если малину высаживают весной. В грунт вносят по 5 кг навоза, 20 г калия и 50 г суперфосфата на 1 м2. При отсутствии предварительной подготовки в яму в процессе посадки добавляют 10 кг перегноя, 500 г золы, 50 г сернокислого калия и 100 г суперфосфата.
- Для малины подготавливают лунку шириной и глубиной 40 см. Между кустами оставляют 70 см, а между рядами — 2 м.
- При наличии предварительной подготовки в яму насыпают только слой компоста толщиной в 10 см. Саженец опускают на дно, затем расправляют корни и присыпают питательной почвой.
- Землю слегка притаптывают. Почки замещения, которые располагаются у основания побега, заглубляют на 2–3 см.
- Вокруг растения на расстоянии 30 см делают лунку и поливают растение 10 л воды.
- Затем почву мульчируют опилками, соломой или торфом.
- Через 2 недели малину обрезают на высоте 20–30 см над поверхностью земли.
Видео: практические советы по высадке малины
Основной уход за растением
Малина относится к прихотливым растениям, которые реагируют на условия произрастания. Чтобы получить хороший урожай, необходимо уделять внимание уходу за культурой.
Правила подкормки культуры
В течение сезона нужно проводить рыхление почвы между рядами, а также устранять сорняки. Трижды в год малину подкармливают.
Таблица: порядок внесения удобрений
| Период | Питательные вещества |
| В последних числах марта | 20 г аммиачной селитры на 10 л воды |
| Перед цветением | 20 г сульфата калия, 30 г двойного суперфосфата на ведро воды |
| Осенью после завершения обрезки | 20 г суперфосфата, 10 г сульфата калия на 10 л. Каждые 4 года осенью малину подкармливают навозом из расчёта 5 кг на 1 м2 |
Особенности полива кустов
Малина чувствительна к дефициту влаги, это может негативно отразиться на её продуктивности. Поэтому в течение сезона растение необходимо регулярно поливать. После 10 августа и до конца октября процедуру проводят только в случае отсутствия дождей. Чрезмерный полив отрицательно влияет на созревание древесины стеблей.
Воду подают в бороздки, которые выкапывают между рядами на расстоянии 40 см от кустов. После завершения процедуры их засыпают грунтом. Как альтернативный вариант можно использовать дождевание, однако такая процедура проводится только в утренние или вечерние часы (во избежание появления солнечных ожогов).
Важно! Почву нужно увлажнять на глубину 30–40 см.
Таблица: нормы и сроки полива
| Время полива | Норма воды на 1 м2 | |
| В конце мая | 20 л | |
| В начале и конце июня | 20–30 л | |
| Дважды в июле | ||
| В августе только при засушливой погоде | ||
| В конце октября | 10 л | |
Обрезка кустов
Также малине требуется обрезка, которая производится по следующей схеме:
- В мае нужно избавиться от поросли. Молодые побеги укорачивают на 5 листиков.
- В первой декаде июня стебли обрезают на высоте 80 см от поверхности. Это будет способствовать образованию новых побегов.
- В первой половине августа необходимо удалить отплодоносившие ветки.
- В октябре или начале ноября, выполняют прореживание. На одном кусте следует оставить 5–7 развитых побегов, которые произрастают из общего корня. Остальные стебли обрезают на уровне почвы.
Видео: особенности обрезки культуры
Подвязка и защита на зиму
Малина Патриция нуждается в опоре. Вдоль ряда через каждые 5 м устанавливают столбы длиной 2 м. Затем между ними натягивают проволоку диаметром 5 мм. Первый ряд располагают на расстоянии 50 см выше уровня земли, а второй на 20 см ниже верхушки куста.
Если температура в местности, где произрастает малина, в зимний период не опускается ниже -30 °С, укрывать её не обязательно. В обратном случае вокруг растения следует насыпать опилки слоем в 15 см. После этого вдоль кустов нужно натянуть проволоку на высоте 30 см от почвы, наклонить побеги и привязать их к проволоке мягким шпагатом, а сверху накрыть малину рубероидом.
Важно! Побеги малины Патриция необходимо подвязывать к шпалере, иначе они могут сломаться под тяжестью ягод.
Видео: мастер-класс по подвязке
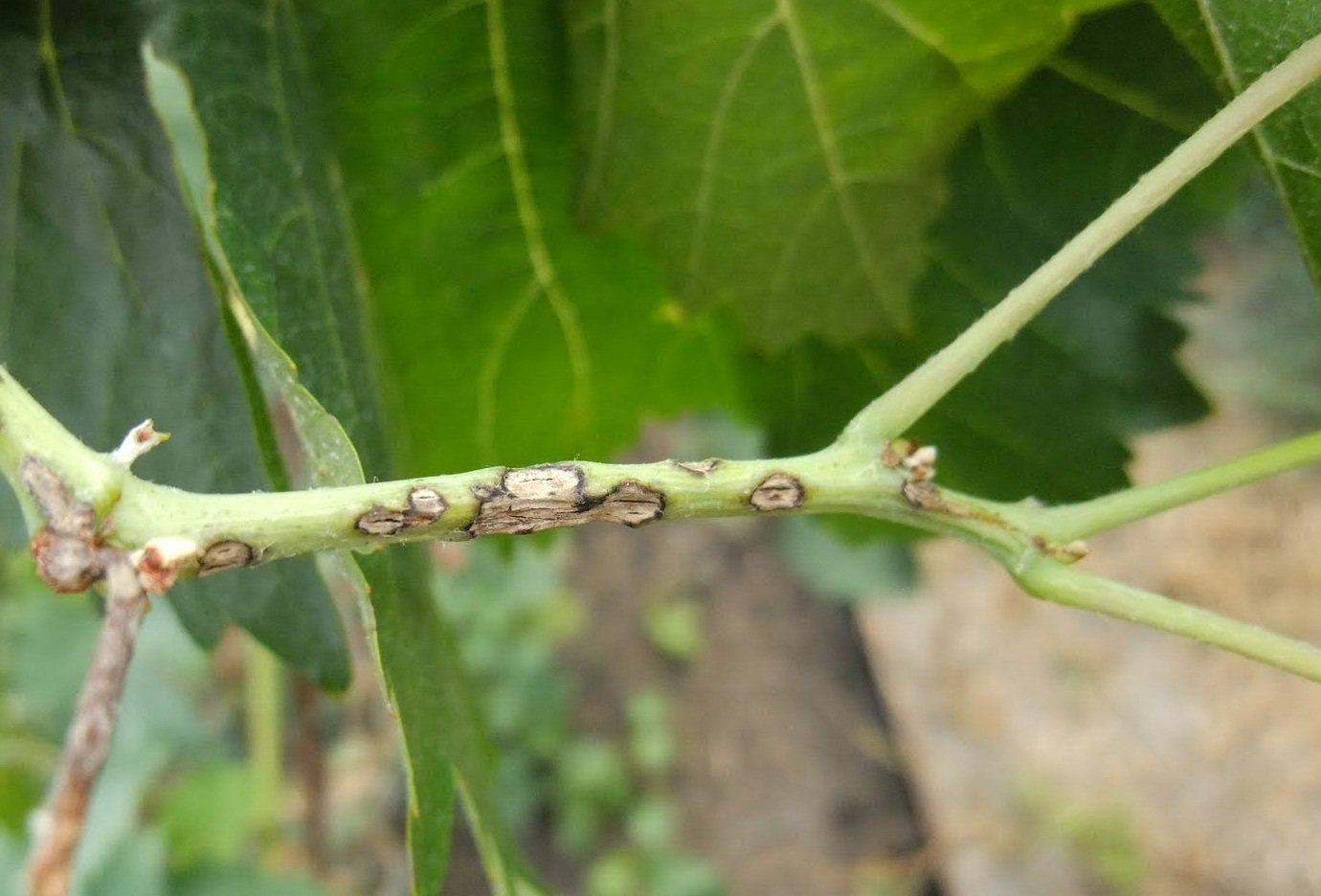
Возможные болезни и вредители
Садоводы отмечают невысокую устойчивость Патриции к заболеваниям, поэтому важно уделять внимание профилактическим мерам при уходе за культурой.
Таблица: болезни сорта Патриция
| Болезни | Симптомы | Методы лечения | Профилактические меры |
| Серая гниль |
|
|
|
| Пурпуровая пятнистость |
|
| Обрезка отплодоносивших побегов и поражённых стеблей. |
| Антракноз |
| ||
| Септориоз |
| ||
| Белая пятнистость |
|
|
|
Фотогалерея: типичные для сорта недуги
- Антракноз повреждает стебли и молодые завязи малины
- Белая пятнистость поражает листья, замедляя развитие куста
- Пурпуровая пятнистость опасна для листьев и побегов
- Серая гниль уничтожает стебли и плоды малины
Таблица: вредители малины
| Вредители | Признаки | Способы борьбы | Профилактика |
| Малинно-земляничный долгоносик | Вредитель прогрызает отверстия в листьях и питается соком растения, в результате чего малина увядает. | До начала цветения применение препарата Искра (1 таблетка на ведро воды), а после сбора ягод — Фосбецида (1 ампула на 5 л). |
|
| Малинный жук |
| Рыхление грунта вокруг кустов на протяжении вегетации, что затрудняет выход вредителей наружу. | |
| Стеблевая муха | Увядание, почернение и загнивание побегов, что происходит в результате деятельности личинок, которые вгрызаются в стебли. | Перед набуханием почек использование препарата Фастак (3 мл на 10 л) либо Шерпа (1 ампула на 10 л). |
|
| Стеклянница | Гусеницы прогрызают ходы в стеблях и корнях, вследствие чего на побегах появляются вздутия. | До распускания листовых почек и перед цветением опрыскивание Фосбецидом (5 мл на 10 л). | Уничтожение отплодоносивших побегов. |
| Паутинный клещ | Насекомые окутывают внутреннюю сторону листа паутиной, и высасывает сок из пластин. | После цветения применение Актеллика (ампула на 2 л воды). | Перекапывание грунта, сжигание листьев. |
Насекомые, атакующие культуру, на фото
- Малинно-земляничный долгоносик высасывает сок листьев
- Малинный жук повреждает завязи и сформированные ягоды
- Паутинный клещ объедают листья
- Стеблевая муха обитает внутри стеблей малины
- Стеклянница вредит ягодам, уничтожая урожай
Сбор и переработка урожая
Патриция принадлежит к ранним сортам. Спелые ягоды появляются в первой декаде июля, плодоношение длится до августа. С одного куста получают от 6 до 11 кг. Ягоды снимают раз в 2–3 дня. Урожай собирают в неглубокую корзину или контейнер. На дно желательно положить листья. Малину хранят при 2–4°С и влажности 90–95% на протяжении 3–4 дней.
Ягоды этого сорта употребляют в свежем виде, замораживают, сушат. Из малины также готовят начинку для выпечки, варенье, желе, компоты. Чтобы высушить плоды, их следует поместить в духовой шкаф, разогретый до 60–70°С на 8 часов и периодически помешивать. Для заморозки ягоды сначала промывают, сушат, затем выкладывают на разнос и отправляют в морозилку. Через сутки малину достают, пересыпают в герметичные пакеты или контейнеры и помещают обратно в камеру.
Отзывы садоводов
Патриция отличный урожайный сорт крупноплодной малины. Выращиваю с 2001 года. Ягода в моих условиях 10–12 г, побеги высотой до 2 м и более, требуют обрезки и шпалеры. Урожайность до 100 кг с сотки. Начало созревания 15–20 июня. Совершенно не имеет шипов.
Ягоды действительно отличного вкуса, очень ароматные. Радует то, что нет шипов, приятней собирать. Созревает в моём регионе с 25 июня. Самые крупные ягоды приобретают почему-то нестандартную форму, деформируются, искривляются, нередко попадаются двойные ягоды — это первые сборы урожая, после идут нормальные стандартные ягоды. Цвет ягоды красный. Сами же ягоды очень привлекательного вида и пользуются спросом на рынке. Важна своевременная и полная уборка ягод, так как когда остаются переспевшие ягоды (особенно в дождливую погоду как этим летом) замечал гнили на ягодах с поражением и соседних в кусте. Химию не применяю. В общем, впечатления от 5 летнего выращивания весьма положительные, не считая незначительных нюансов.
Был у меня на испытании этот сорт. За пять лет ничего такого супер не показал (кроме цены на саженцы). Убрал потому, что не понравилось раздвоение ягод.
Как-то соблазнилась на крупноплодную малину Патриция. Созрела красавица — крупнющая, но по вкусу рядом не стоит с Новостью Кузьмина. К тому же косточки у неё тоже крупные, это отношу к недостаткам. Есть ещё один недостаток, на мой взгляд, она даёт такую поросль, мама не горюй, еле избавилась.
Благодаря хорошей морозоустойчивости сорт Патриция подходит для холодных регионов. Эта малина имеет высокую продуктивность. Но показатели урожайности также зависят от ухода за культурой. Растение нуждается в поливе, подкормках и подвязке к опоре.




















